> HOME > 커뮤니티 > 체험후기
| 제목 : 이브아르 코필러후기용 | 등록일 : 12-08-31 01:57 | |||
.jpg)
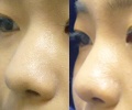
이브아르 코필러 코전체 시술 받았습니다~
8월7일에 시술받고 25일에 리터치받았어요 ㅎ ㅎ
청량리점 원장님과 코디언니분들 다들 너무착하시구
편하게대해주시고 좋았어요ㅎ ㅎ
아프지도않고 코모양도 적당히 과하지않고 티안나게
이쁘게 잘되서 기분좋아용~
콧대도 살아나고 코전체가 적당히 잘된거같아요
전후사진 보니까 필러하길잘했다 생각이다시한번드네용
주위에서 다들 코이쁘다구 난리에요
추천많이 해드릴께용!!!!!!!!!!!
필러후 주의사항도 자세히 잘알려주시구해서
관리잘하겠습니당 감사합니다 ㅎㅎ
| 이전글 | 턱 파워보톡스 / 울트라v 같이 시술했어요~!! | 2012-08-31 |
| 다음글 | 허벅지 HPL 4주 시술후기 | 2012-08-31 |